WRMG1/0137
Numer referencyjny WRMG1/0137
Nieruchomość proponowana przez

Wrocław Studio Grabiszyn Kamil Janus, Dariusz Łukasik S.C.
ul. Grabiszyńska 92A
tel. 578 591 111
wrmg1@tecnocasa.pl
Rodzaj transakcji
sprzedaż
Dostępność
Od zaraz
Województwo
dolnośląskie
Miasto
Nowa Wieś Wrocławska
Ulica
Wrocławska
Rodzaj nieruchomości
dzialka
Forma własności
Własność
Powierzchnia
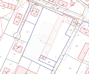
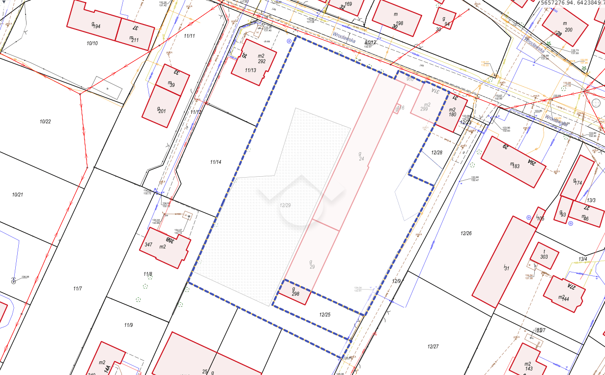
5870m2
Dostępne media
woda. prąd
Na sprzedaż | Działka inwestycyjna 5870 m²
Nowa Wieś Wrocławska | ul. Wrocławska
Oferta na wyłączność
Na sprzedaż atrakcyjna nieruchomość gruntowa o powierzchni 5870 m², położona w miejscowości Nowa Wieś Wrocławska (gmina Kąty Wrocławskie), przy ul. Wrocławskiej.
Działka o bardzo dużym potencjale inwestycyjnym, przeznaczona pod zabudowę mieszkaniową jednorodzinną, bliźniaczą oraz usługi.
Nieruchomość stanowi doskonałą propozycję dla dewelopera lub inwestora poszukującego terenu pod kameralną inwestycję mieszkaniową lub projekt łączący funkcję mieszkaniową z usługową.
Parametry nieruchomości
Przeznaczenie terenu – MPZP
Zgodnie z miejscowym planem zagospodarowania przestrzennego (symbol M) teren przeznaczony jest pod:
Plan dopuszcza realizację budynków wolnostojących oraz bliźniaczych.
Możliwości zabudowy
Parametry urbanistyczne
Dodatkowe informacje
Lokalizacja
Nowa Wieś Wrocławska to dynamicznie rozwijająca się miejscowość w bezpośrednim sąsiedztwie Wrocławia. Bardzo dobra komunikacja z miastem oraz szybki dojazd do autostrady A4 czynią lokalizację atrakcyjną zarówno dla inwestorów, jak i przyszłych mieszkańców.
Dojazd do centrum Wrocławia zajmuje około 25 minut, co czyni lokalizację atrakcyjną zarówno dla inwestorów planujących realizację projektu deweloperskiego, jak i dla przyszłych mieszkańców.
Zapraszamy do kontaktu
Oferta dostępna wyłącznie w naszym biurze.
Szczegółowe informacje dotyczące MPZP, możliwości zabudowy oraz dokumentacji dostępne u opiekuna oferty.
Zapraszamy na prezentację nieruchomości.
Agencja Nieruchomości Tecnocasa
Oddział II Grabiszyn
Grabiszyńska 92A
tel. 577 427 111
Nieruchomość proponowana przez

Wrocław Studio Grabiszyn Kamil Janus, Dariusz Łukasik S.C.
ul. Grabiszyńska 92A
tel. 578 591 111
wrmg1@tecnocasa.pl